Pamatojoties uz jauno Enerģētiskās drošības un neatkarības veicināšanai nepieciešamās atvieglotās energoapgādes būvju būvniecības kārtības likumu, pēc VVD pasūtījuma tiek izstrādātas “Vadlīnijas…
2022.gada 12.oktobrī no plkst.10:00 līdz 14:00 notiks vietēja līmeņa praktiskās mācības par radioaktīvo avotu meklēšanu, radiācijas mērījumu veikšanu un dezaktivācijas pasākumiem. Mācības rīko Valsts…
Valsts vides dienests (VVD) informē, ka pēc šī gada 24. maijā saņemtā iedzīvotāja ziņojuma par vides piesārņošanu Pāvilostas piekrastē ar 33 izskalotām kuģa uzpildītām degvielas pudelēm, izmeklēšanas…
No 26. līdz 30.septembrim norisinājās Starptautiskās atomenerģijas aģentūras (SAEA) 66.Ģenerālkonference. Konference ir nozīmīgākais ikgadējais notikums SAEA, kurā tiek pieņemtas dažādas rezolūcijas,…
Aizvadītajā nedēļā Jelgavā Valsts vides dienestam (VVD) izdevās atklāt un novērst būtisku vides pārkāpumu. Konstatēts, ka uzņēmums, kas nodarbojas ar atkritumu savākšanu un uzglabāšanu, savā…
Sākot ar 1. oktobri Latvijas ūdeņos sācies lašu un taimiņu ieguves lieguma periods, kas iekšējos ūdeņos ilgs līdz 31. decembrim, bet Baltijas jūras un Rīgas jūras līča piekrastē – līdz 15.novembrim…
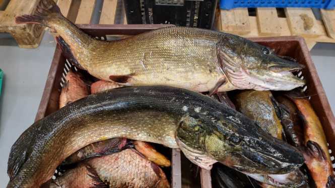
27.septembra rītā no Babītes ezera Valsts vides dienesta inspektori izcēla zvejas tīklu vairāku simtu metru garumā. Zvejas tīklā atradās 123 kg zivju – līdakas, brekši un līņi. Uz vietas aizturēta…
Lai mazinātu Rīgas un Pierīgas mežu piesārņošanu un atgādinātu sabiedrībai par aplikāciju “Vides SOS”, kas palīdz operatīvāk sniegt informāciju par mežā nelegāli izmestajiem atkritumiem, “Rīgas Meži”…
Valsts vides dienesta Radiācijas drošības centrs 22.septembrī vienuviet pie ekrāniem pulcēja 250 uzņēmumu pārstāvjus, kur tiešsaistes seminārā informēja operatorus, kas veic darbības ar jonizējošā…
2022. gada 22. septembrī Rīgā norisinājās Valsts vides dienesta organizēta Baltijas valstu vides institūciju sadarbības sanāksme. Sanāksmē piedalījās 30 vides institūciju pārstāvji no Latvijas Valsts…